写真 5 枚(横スクロールで閲覧)

teshima土地媒介

 財光寺(日向市)

物件詳細

物件種別
土地
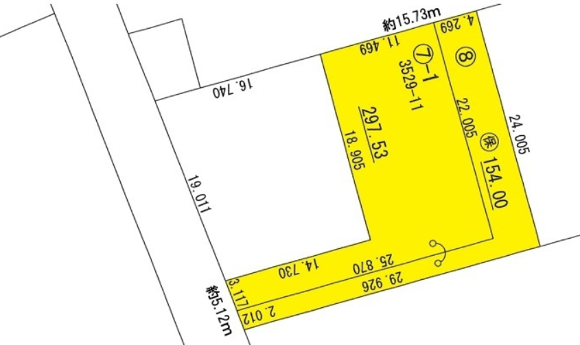
土地面積
451.47㎡(136.6坪)
ステータス
媒介

売出価格

1,000万円

坪単価 7万円/坪

掲載情報

業者teshima
登録日2026年3月24日
最終確認2026年3月24日
元サイトを見る

スペック概要

土地
451.47
地図で見る

同じ物件種別の近い物件